
The builder’s request for smaller home sizes at Timbergate subdivision was given an unfavorable recommendation Tuesday.
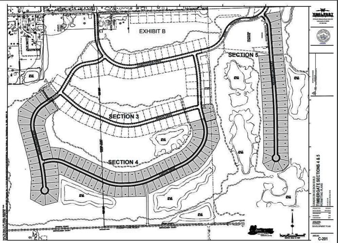
Map provided by town
EDINBURGH — The latest extension for the Timbergate subdivision in Edinburgh received pushback from community members and town officials after developers tried to include a smaller type of home in the subdivision.
The Edinburgh Planning Commission unanimously forwarded an unfavorable recommendation to the town council Tuesday for the request to decrease the minimum square footage for one-story homes. The request would decrease the square footage from 1,500 to 1,360 square feet in Sections 4 and 5 of Timbergate. The minimum square footage requirement in Edinburgh’s zoning code for Timbergate’s zoning type is 1,260 square feet.
The petition will go to the town council for approval at a future meeting.
Timbergate is located on the east side of Edinburgh, west of Interstate Highway 65 and south of State Road 252. The 91.87-acre neighborhood is a golf course community that was first approved in 1997 and received a 10-year extension in 2011 and a five-year extension in 2021, according to the planning and zoning staff report.
The neighborhood has gone through several transitions in builders and developers over the years. Gradison Land Development took over the project in 2021 with Section 3 and Ryan Homes is the current home builder.
Gradison is in the process of completing the infrastructure in Section 4 and recording the plat, but the infrastructure hasn’t been accepted because the developer hasn’t completed all the requirements. This includes consistently maintaining erosion control measures and giving the full testing results for piping of water and sanitary systems to the town utilities. A stop work order has been in place on the project since June 28, 2024.
Despite this, the developer requested to decrease the square footage for one-story homes to allow Ryan Homes to build its most popular housing product, said Adam Mears, land use and project facilitator at Gradison Land Development.
“The main reasoning behind it is, again, to be able to offer a product that’s — again — their most popular product company-wide,” Mears said. “They feel like they’ve gotten good traction, but with inflation and some of those pressures in the market, they might be able to offer a slightly smaller product.”
The average sales price for all of the homes is between $330,000 and $340,000 with all lots in Section 3 reserved. Offering the new type of home will offer a home that is slightly more affordable, he said.
Planning commission members Robert Ackerman and Miriam Rooks asked about the new product’s price and whether that would make a difference in the builder’s income.
According to the staff report, permit demand has been increasing for Timbergate and 28 permits were issued in 2024 with 66 permits being issued since 2021. A total of 124 permits have been issued for the entire subdivision since 1997. Mears said the cost of the new homes would probably be about $10,000 to $15,000 less than the current average sales price, which he said would make a difference.
Commission member Debbie Buck asked whether the development was having trouble selling. Mears said sales have slowed down with inflation and interest rates.
Buck asked Mears if the smaller homes were already being advertised. Although Mears said they weren’t being advertised, people in the audience audibly disagreed. Buck said she saw an online advertisement from Ryan Homes promoting the smaller homes.
Mears said he did not know anything about the advertisement, but he would check with Ryan Homes. However, he does know the company has not built homes of this size or applied for a permit to build one.
Several community members attended the plan commission meeting Tuesday to speak against the request. Everyone who spoke during public comment was against the petition.
Commission member Deborah Vaughan began with her own remarks before the public began speaking.
“I live over there and this is exactly what I feared,” Vaughan said. Her statement was met with applause from neighbors gathered in the meeting room.
Mike Barnett alleged the smaller homes were already being advertised by Ryan Homes and he was afraid the developers would start building and then come in requesting to shrink the homes even more.
This isn’t the first time the petitioner requested an amendment to the PUD standards. With the extension approved in 2021, Timbergate Development LLC previously requested to reduce the lot sizes to 70 feet excluding existing platted lots in Kennedy Park, reduce the lot square footage from 9,600 to 8,400 and reduce the minimum square footage for single-story homes from 1,500 to 1,150 square footage for Section 3 and Section 4.
The amendments received an unfavorable recommendation from the plan commission and were denied by the town council, according to the staff report.
“We do not want smaller homes. A new subdivision is going to be built on 31 that’s going to have smaller homes, there’s no need to be making smaller homes,” Barnett said. “It’s a golf course community. People that bought there want their homes to maintain their value.”
Ted Lucas said the town has a big investment in the golf course and the smaller homes could take away from the value of the golf course in the future.
“What would be next? It’s all about the money and that’s all the developer cares about, that’s all the builder cares about,” Lucas said. “They want to see the money. I understand that … but I think here we’ve got an investment we have to be concerned about.”
As a rebuttal, Mears said property values are driven by appraisers and they won’t look at a 1,365 square-foot home the same way as a 1,700 square-foot home. According to him, the smaller homes will be in their own class and shouldn’t pull down a home that’s significantly larger.
Anthony Alley fears the quality could decline even more if the town gives this concession.
“The next thing they’re going to come in here, my fear is that they’re not going to want to do stone, they’re going to want to build vinyl houses back there so they can get them sold,” Alley said. “We don’t want that. We built where we built for a reason because of the community, because we liked it and we like the standards that were put in at the time, and we’re less than a year and they’re already lowering the standards for profit.”
Planning staff also gave an unfavorable recommendation for the request. Planning Director Julie Young said she hadn’t received information from the developer addressing the decision considerations or the impact of the amendment on the existing development prior to writing the staff report. Mears said he arrived to the meeting early to talk to Young about the missing information.




